Deep in the waters along a volcanic ridge on the bottom of the Atlantic Ocean, marine explorers using a remotely operated vehicle to examine largely unexplored areas have found a pattern of holes in the sand.
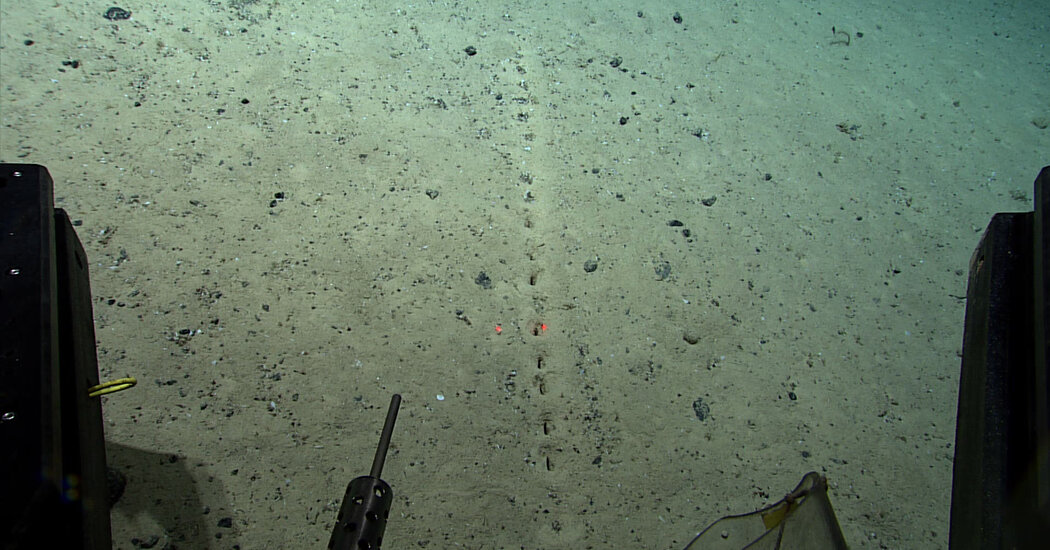
While diving, north of the Azores, near mainland Portugal, on July 23, they saw about a dozen holes that looked like a track of lines on the ocean floor, at a depth of 1.6 miles.
Then about a week later, on Thursday, there were four more sightings on the Azores plateau, an underwater area where three tectonic plates meet. These holes were about a mile deep and about 300 miles from the mission’s initial discovery site.
The question that scholars ask themselves and the audience in their posts Twitter And the FacebookIS: What creates these marks, with holes spaced 4 inches or more and lines stretching from 5 feet to more than 6 feet, on the ocean floor?
“The origin of the holes has baffled scientists,” said the Twitter post from the National Oceanic and Atmospheric Administration’s Ocean Exploration Project. “The holes look man-made, but the small piles of sediment around them indicate that they were drilled by…something.”
Nearly two decades ago, about 27 miles from the initial view site for the current mission, scientists discovered similar holes during exploration, Emily Crum, a spokeswoman for the National Oceanic and Atmospheric Administration (NOAA) said.
The passage of time has not provided any clear answers, said Michael Fekion, a deep-sea biologist with the National Oceanic and Atmospheric Administration (NOAA) who was involved in the project, and is also part of this latest expedition.
“There’s something important going on in there that we don’t know what it is,” Dr. Viccione said. “This highlights the fact that there are still mysteries.”
Holes are just one of the questions scientists are looking for on an ambitious ocean expedition, as they explore the Mid-Atlantic Mountains, part of the Huge mountain range in the depths of the ocean It extends more than 10,000 miles under the Atlantic Ocean.
The experts at NOAA search for answers while Three missions They’re connecting with a trip to Ridge 2022, which began in May and will end in September, with trips that take them from the waters off Newport, RI, to the Azores and back to Puerto Rico in the Caribbean.
Explorers want to know what lives along the continuous range of underwater volcanoes and what happens when the geological processes that create life-supporting heat stop.
They pay close attention to communities of deep-sea coral and sponges, which are “some of the most valuable marine ecosystems on Earth,” said Derek Sawers, coordinator of the NOAA expeditions aboard the Okeanos Explorer.
Dr. Sawers said that expeditions such as that of the Ridge Projects were “essential” to establishing an understanding of the planet’s biodiversity and the “new compounds produced by all these life forms.”
And they want to learn more about areas where seawater is heated by magma, where life in the deep sea derives energy from this source and chemicals, rather than from the sun, like most life on Earth.
“This has broadened our understanding of the conditions under which life might occur on other planets,” Dr. Sawers said.
After the agency turned to social media in an attempt to engage the public, dozens of comments poured in, and some got into speculation. Are the holes man-made? Could it be a sign of extraterrestrials? Are they traces left by a submarine? Could it be the breathing holes in the”Creature in the depths of the sea buried under the sand“?
Dr. Viccione said that last guess wasn’t necessarily too far-fetched. in A paper on holes observed in 2004Mr Vecchione and co-author, Odd Aksel Bergstad, a former researcher at the Institute of Marine Research in Norway, proposed two main hypotheses as to why the holes exist. Both involve marine life, either walking or swimming above the sediments and making holes at the bottom, or the reverse scenario, where they hide within the sediments and punch holes upward.
Dr. Viccione said the holes seen on Thursday appeared to have been pushed out from below.
Dr. Sawers said the car’s remotely operated suction device collected sediment samples to check if there was an organism inside the holes.
Dr. Viccione said that while he was delighted to encounter ocean floor holes again, he was “a bit disappointed” because scientists still lacked an explanation.
“It reinforces the idea that there is a mystery that we will one day discover,” he said. “But we haven’t found a solution yet.”
One last dive, which would be broadcast liveremains to be implemented in the second expedition of the series, NOAA said. The third expedition begins on August 7.

